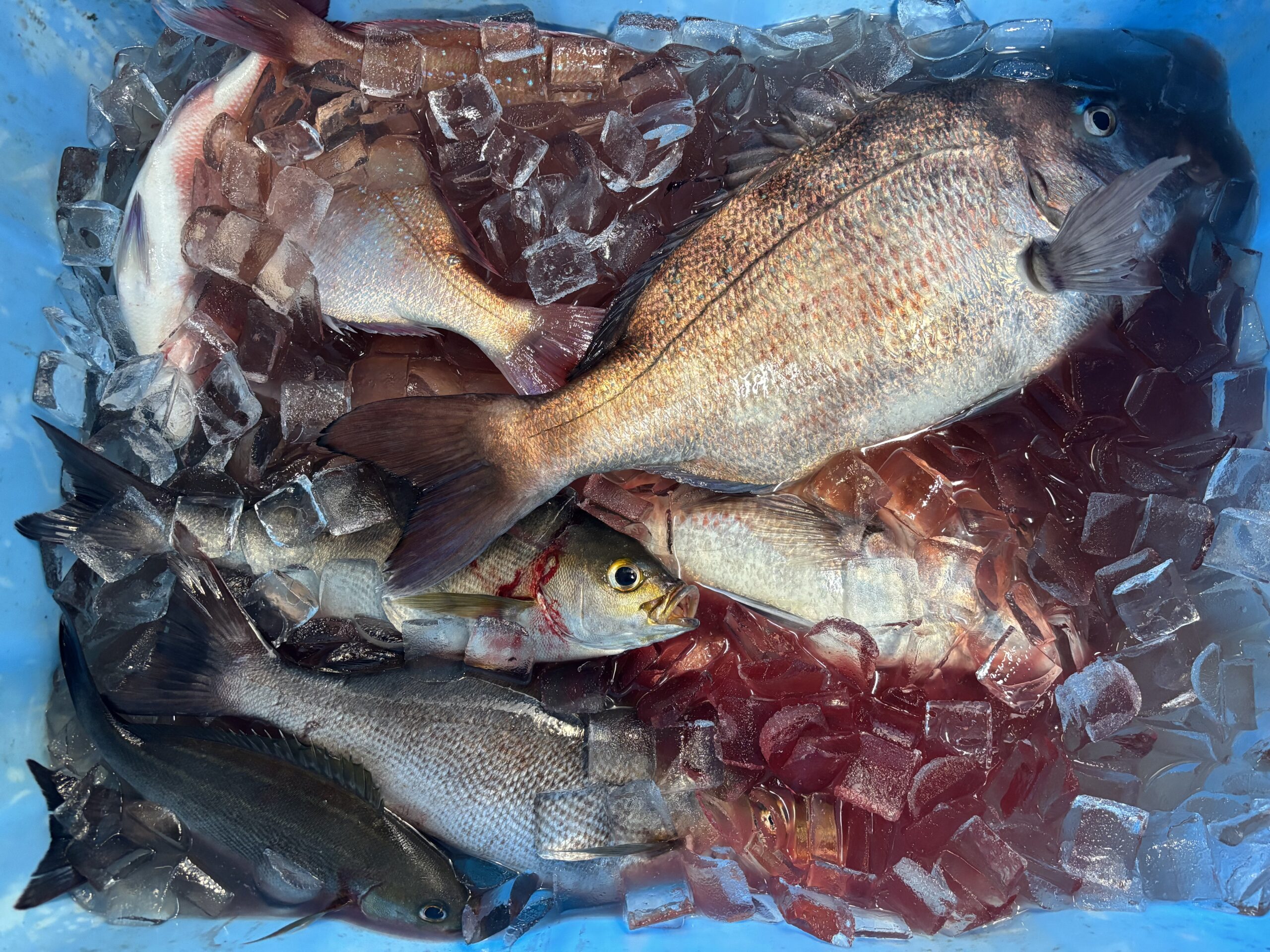
釣果情報 2023.05.21グレ 土井様 グレ40~45センチ7尾 天気晴れ 水温21.6℃ 風南西2m ベテラン 魚種 グレ サイズ 40~45センチ 匹数 7 釣り人 土井様 仕掛け ハリス1.75号 エサ ネリエ 前の記事へ 一覧へ戻る 次の記事へ 最新の釣果情報 2026.01.22 『グレチャンピオンシップ』入賞! グレ 2026.01.22 【グレCS入賞】岩内様 グレ51.2センチ グレ 2026.01.22 よくグレ釣れております! 2026.01.22 島内様 イシダイ50~55センチ2尾 釣果一覧へ戻る 釣れる魚種 マダイ グレ チヌ 青物 五目 ノマセ 大物 その他 釣り人のタイプ ファミリー女性初乗船ベテラングループその他 過去の釣果検索 月を選択 2026年1月 (22) 2025年12月 (21) 2025年11月 (33) 2025年10月 (16) 2025年9月 (14) 2025年8月 (14) 2025年7月 (14) 2025年6月 (32) 2025年5月 (16) 2025年4月 (29) 2025年3月 (44) 2025年2月 (21) 2025年1月 (35) 2024年12月 (35) 2024年11月 (45) 2024年10月 (15) 2024年9月 (19) 2024年8月 (8) 2024年7月 (28) 2024年6月 (43) 2024年5月 (42) 2024年4月 (46) 2024年3月 (39) 2024年2月 (20) 2024年1月 (42) 2023年12月 (48) 2023年11月 (50) 2023年10月 (35) 2023年9月 (15) 2023年8月 (21) 2023年7月 (21) 2023年6月 (62) 2023年5月 (69) 2023年4月 (70) 2023年3月 (67) 2023年2月 (51) 2023年1月 (61) 2022年12月 (51) 2022年11月 (74) 2022年10月 (63) 2022年9月 (32) 2022年8月 (13) 2022年7月 (26) 2022年6月 (44) 2022年5月 (77) 2022年4月 (57) 2022年3月 (80) 2022年2月 (75) 2022年1月 (60) 2021年12月 (64) 2021年11月 (90) 2021年10月 (64) 2021年9月 (48) 2021年8月 (44) 2021年7月 (58) 2021年6月 (95) 2021年5月 (46) 2021年4月 (89) 2021年3月 (9) 大物GETで賞品・景品をGET! 大裕丸の公式SNS 大裕丸の最新情報をGET! 最新のイベント情報 年間を通して様々なイベントを開催!大裕丸のイベント情報をご紹介! 2025.09.03 大裕丸秋の真鯛釣り大会2025を開催します! お知らせ 2025.09.03 大裕丸チヌ釣り大会2025結果発表! お知らせ 2025.06.25 大裕丸チヌ釣り大会2025を開催します お知らせ 2025.06.01 のっこみ真鯛釣り大会2025は終了しました お知らせ 2025.03.01 大裕丸のっこみ真鯛釣り大会2025を開催します! お知らせ 2024.05.31 カセグレチャレンジ2024結果発表! お知らせ イベント一覧へ 大物GETで賞品・景品をGET! みる おすすめプラン&サービス ファミリー・ご友⼈・カップルにもおすすめ! ちょい釣り体験 みる ラクラクお持ち帰りサービス 釣ったお魚をさばきます! みる ラクラクお持ち帰りサービス 釣ったお魚をご自宅へ配送! みる ご予約・お問い合わせはこちらまで 0735-65-0603 料金・営業時間 よくあるご質問 ご注意事項 大裕丸のご紹介 大裕丸の公式SNS ⼤裕丸の最新情報をGET! facebook Instagram LINE YouTube
2023.05.21グレ 土井様 グレ40~45センチ7尾 天気晴れ 水温21.6℃ 風南西2m ベテラン 魚種 グレ サイズ 40~45センチ 匹数 7 釣り人 土井様 仕掛け ハリス1.75号 エサ ネリエ 前の記事へ 一覧へ戻る 次の記事へ 最新の釣果情報 2026.01.22 『グレチャンピオンシップ』入賞! グレ 2026.01.22 【グレCS入賞】岩内様 グレ51.2センチ グレ 2026.01.22 よくグレ釣れております! 2026.01.22 島内様 イシダイ50~55センチ2尾 釣果一覧へ戻る